Original Research

Exosomes treat nerve injury diseases by promoting nerve axon regeneration

  • Sun Cheng ,
  • Cheng Jiyun ,
  • Huang Mayan
Expand
  • The Second People’s Hospital of Mengcheng County, Haozhou 233500, China
Huang Mayan, E-mail:

Received date: 2020-06-20

  Online published: 2020-11-17

Copyright

Copyright reserved © 2020

Abstract

Objective To explore the effect of bone marrow mesenchymal stem cell exosomes on the regeneration of nerve axon. Methods Sprague Dawley (SD) rat bone marrow mesenchymal stem cells were extracted and identified by cell morphology and flow cytometry. Exosomes in the cell supernatant were extracted by ultracentrifugation and identified by transmission electron microscopy, particle size and Western blot. PC12 cells and neural stem cells extracted from SD rats were cultured. PC12 cells were divided into the blank control, 30 μg exosome and 60 μg exosome groups. The phagocytosis of target cells was observed by fluorescently-labelled rat exosomes. The axon growth of PC12 cells and neural stem cells was observed by immunofluorescent staining. The expression levels of NF-200 and GAP43 proteins were detected by Western blot. Results Cell morphology and flow cytometry confirmed the successful extraction of rat bone mesenchymal stem cells. Transmission electron microscopy, particle size and Western blot validated the successful extraction of bone marrow mesenchymal stem cell exosomes, which could be taken up by nerve cells to promote the axon growth of PC12 cells and neural stem cells and up-regulate the expression level of axon protein. The promoting effect was strengthened as the increasing amount of exosomes. The axon length and the expression level of axon protein in the PC12 cells and neural stem cells significantly differed among three groups (all P < 0.001). Conclusion Bone marrow mesenchymal stem cell exosomes play a role in repairing nerve injury by promoting the regeneration of nerve axon.

Cite this article

Sun Cheng , Cheng Jiyun , Huang Mayan . Exosomes treat nerve injury diseases by promoting nerve axon regeneration[J]. JOURNAL OF NEW MEDICINE, 2020 , 51(11) : 840 -845 . DOI: 10.3969/j.issn.0253-9802.2020.11.007

脊髓损伤将导致神经损伤平面以下肢体的运动及感觉功能部分或完全丧失,给患者及社会带来巨大的经济负担[1]。临床常用治疗手段包括损伤后的减压手术治疗及肾上腺皮质激素(激素)冲击治疗等,均主要降低局部及全身炎症反应程度、解除脊髓损伤局部压迫,未能从根本上逆转、修复损伤神经,因此其治疗效果有一定的局限性[2]。目前有研究表明脊髓损伤后轴突的再生对损伤平面以下的功能恢复具有至关重要的作用,但由于中枢神经系统神经元再生能力弱,加之损伤后局部出现抑制性微环境,这使得脊髓损伤后神经再生能力非常微弱[3]。有研究者发现间充质干细胞(包括骨髓间充质干细胞、脐带间充质干细胞、脂肪间充质干细胞)作为一种多能祖细胞,既可以向类神经元细胞分化,又可以通过旁分泌作用促进损伤神经再生,是目前细胞治疗及组织工程治疗的主要种子细胞,目前已被用于多种疾病的临床试验[4]。随着干细胞治疗的研究不断进展,目前研究者们认为移植间充质干细胞分泌的胞外囊泡对于脊髓损伤修复的作用可能更为重要。外泌体是胞外囊泡的一种,直径约40 ~ 150 nm,具有磷脂双层膜结构,并携带蛋白质、核酸和脂类等大量调节细胞生理功能的信号,可由多种细胞分泌,可调节受体细胞的生物学活性[5]。目前已有研究者对间充质干细胞治疗脊髓损伤做了初步探索,并发现其可于体内外促进损伤神经修复,从而促进脊髓损伤后动物的运动功能恢复,然而对于外泌体促进神经损伤修复的机制仍未明确,因此,本研究组通过研究骨髓间充质干细胞外泌体对神经轴突再生的作用,揭示了外泌体修复神经损伤的机制,为后期外泌体临床实验提供理论基础。

材料与方法

本研究符合动物实验的伦理要求,并经中山大学实验动物伦理委员会审查批准。

一、大鼠骨髓间充质干细胞的分离与鉴定

使用骨髓腔冲洗法提取4周龄的SD大鼠股骨及胫骨骨髓间充质干细胞,股骨中分离出大鼠骨髓间充质干细胞。将细胞培养于含有10%胎牛血清的低糖DMEM培养基中。每2日更换1次培养基,除去所有非黏附细胞以纯化骨髓间充质干细胞。通过光镜观察及流式细胞学技术检测骨髓间充质干细胞表面抗体(包括阳性抗体CD73、CD105,阴性抗体CD45、CD34、CD3)来验证骨髓间充质干细胞提取成功与否。

二、骨髓间充质干细胞来源的外泌体的分离和鉴定

当骨髓间充质干细胞生长密度达到80%时,将传统的培养基替换为无外泌体培养基,并继续培养48 h。然后收集培养基,将培养基分别以300×g离心10 min,2000×g离心20 min和10 000×g离心30 min以消除死细胞和细胞碎片。然后将上清液以100 000×g离心90 min,弃去上清液,并用少量磷酸盐缓冲液(PBS)洗涤重悬沉淀获得外泌体悬液。根据制造商的说明,使用qNano®系统对外泌体的粒径大小进行测试。使用表面标志分子(ALIX及HRS)鉴定骨髓间充质干细胞外泌体。使用蛋白免疫印迹法测定,使用透射电子显微镜分析外泌体的形态及超微结构。

三、肾上腺嗜铬细胞瘤(PC12)细胞培养及分组

使用含有10%胎牛血清的RPMI 1640培养基培养大鼠PC12细胞。当研究外泌体促进PC12细胞轴突延长时,将培养基更换为含有1%胎牛血清的RPMI 1640培养基诱导PC12细胞轴突延长。将PC12细胞分为空白对照组、30 μg外泌体组(加入30 μg外泌体处理)及60 μg外泌体组(加入60 μg外泌体处理)。

四、PC12细胞摄取外泌体实验

外泌体用绿色荧光染料(PKH67)标记。 PC12细胞在激光共聚焦皿中培养12 h后,加入荧光标记的外泌体(10 μg/ml),在37℃下孵育12 h。然后将细胞用PBS洗涤3次,并用4%多聚甲醛固定10 min。用PBS洗涤3次后,将细胞核用DAPI染色,并使用荧光显微镜检测PC12细胞中的绿色信号。

五、大鼠神经干细胞提取及分组

取孕14 d的小鼠胚胎,将其端脑分离并切成小块,然后将切碎的脑组织与0.25%胰蛋白酶在37℃下孵育1 h。使用含有10%胎牛血清的DMEM/F12(Gibco)培养基中和剩余胰酶。将分离出的神经干细胞在含有2%B27和N2(Invitrogen),20 ng/ml表皮生长因子(EGF; PeproTech)和碱性成纤维细胞生长因子(bFGF; PeproTech)、1 mmol/LGlutaMAX(Gibco)和抗生素(青霉素100 U/ml,链霉素100 U/ml)的DMEM/F12(Gibco)培养基中培养,在37℃含5%二氧化碳的潮湿环境中培养。每3日更换1次培养基。将神经干细胞分为空白对照组、30 μg外泌体组及60 μg外泌体组。

六、免疫荧光检测

使用4%多聚甲醛将待检测细胞在4℃下固定20 min,用5%山羊血清和0.2%Triton X-100制备的破膜液室温下封闭破膜1 h后,用PBS清洗3次,加入相应一抗4℃过夜,第2日加入相应荧光二抗染色1 h。最后,用DAPI染色细胞核10 min。使用共聚焦显微镜观察细胞内相应蛋白。

七、蛋白免疫印迹法检测

使用含有RIPA裂解液在冰上裂解相应细胞1 h,12 000×g离心30 min后从上清液中收集组织裂解物。使用BCA蛋白质测定试剂盒测定蛋白浓度后,将SDS-PAGE蛋白上样缓冲液(5X)加入样品中,将样品置于100℃加热10 min以致蛋白变性。将等量(40 μg)蛋白悬液加入聚丙烯酰胺凝胶上样。通过凝胶电泳分离蛋白质并转移到聚偏二氟乙烯(PVDF)膜上,用5%脱脂牛奶加入到PVDF膜中封闭1 h。将一抗加入PVDF膜中于4℃下孵育过夜,然后与辣根过氧化物酶缀合的二抗(ZSGB Bio,中国)温育2 h。使用增强化学发光(ECL)试剂盒分析荧光,并使用Image J软件计算每个条带的光密度。

八、统计学处理

采用SPSS 21.0处理数据。实验数据符合正态性及方差齐性,通过单因素方差分析和Bonferroni进行多组比较。P < 0.05或< 0.05/3为差异有统计学意义。使用GraphPad构图,所有数据用$\bar{x}±s$表示。

结果

一、骨髓间充质干细胞形态及鉴定

在体外,间充质干细胞表现出典型的梭形,呈放射状排列(图1A)。流式细胞仪检测结果表明,CD73和CD105抗体的阳性率分别为97.6%和77.8%,CD45、CD34和CD3的阳性率分别为0.167%、0.225%及0.139%,与间充质干细胞的标志物表达一致,表明分离提取的细胞为骨髓间充质干细胞(图1B ~ F)。
图1 骨髓间充质干细胞鉴定

A:骨髓间充质干细胞光镜(×100);B ~ F:骨髓间充质干细胞流式鉴定

二、外泌体鉴定

对提取物进行电子透射电镜分析,可以看出提取物呈现出典型的中间有凹陷的茶托状囊泡结构,这完全符合外泌体的外形形态(图2A)。粒径分析表明,提取物的粒径为90 ~ 100 nm,这与外泌体的粒径一致(图2B)。最后通过蛋白免疫印迹法验证提取物,结果表明,提取物相对于骨髓间充质干细胞高表达ALIX及HRS表面标志物(图2C),提取物与外泌体特征一致,以上均证明提取物为大鼠骨髓间充质干细胞外泌体。
图2 骨髓间充质干细胞外泌体鉴定图、PC12细胞的外泌体吞噬作用

A:外泌体透射电镜图;B:外泌体粒径分析图;C:蛋白免疫印迹法检测外泌体表面标志物

三、PC12细胞的外泌体吞噬作用

将源自骨髓间充质干细胞的外泌体添加到PC12细胞培养基中,观察其吞噬作用。如图所示(图3),图中几乎全部PC12细胞核均被PKH67染色的外泌体包围,表明外泌体可以被PC12细胞成功吞入细胞质并发挥后续作用。
图3 体外PC12细胞吞噬外泌体实验

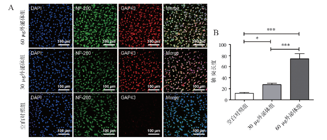
四、外泌体促进PC12细胞轴突延长及轴突蛋白表达

PC12细胞分别培养为空白对照组、30 μg外泌体组和60 μg外泌体组。如图所示(图4),2个外泌体组轴突相关蛋白(NF-200及GAP43)荧光强度均明显高于空白对照组,同时随着外泌体量的增加,60 μg外泌体组的NF-200及GAP43荧光强度明显高于30 μg外泌体组。定量分析PC12轴突长度显示,3组比较差异有统计学意义(F = 99.180,P < 0.001),其中60 μg外泌体组的PC12细胞轴突长度长于空白对照组及30 μg外泌体组(P均< 0.001)。蛋白免疫印迹法检测结果表明,3组PC12细胞NF蛋白表达量差异有统计学意义(F = 35.69,P < 0.001),60 μg外泌体组PC12细胞NF蛋白表达量高于空白对照组及30 μg外泌体组(P均< 0.001);3组GAP43蛋白的表达量差异有统计学意义(F = 68.600,P < 0.001),60 μg外泌体组高于30 μg外泌体组及空白对照组(P均< 0.001),上述表明外泌体可以促进PC12细胞轴突延长及轴突蛋白表达,并且这一现象随着外泌体量的增加而更明显(图5)。
图4 外泌体促进PC12细胞轴突生长实验

A:免疫荧光分析外泌体对PC12细胞轴突延长的影响;B:外泌体促进PC12细胞轴突再生的定量分析;*P < 0.05;***P < 0.001

图5 外泌体促进PC12细胞轴突蛋白表达情况

A:蛋白免疫印迹法检测PC12细胞NF及GAP43轴突相关蛋白表达情况;B、C:轴突相关蛋白定量分析图;*P < 0.05;**P < 0.01;***P < 0.001

五、外泌体促进神经干细胞轴突延长及轴突蛋白表达

同样将神经干细胞分别培养为空白对照组、30 μg外泌体组和60 μg外泌体组。通过免疫荧光检测可以看出,空白对照组神经干细胞球周围神经轴突较2组外泌体组短,同时轴突密度也低于2组外泌体组,而在60 μg外泌体组,干细胞球周围伸出的轴突形成密集的神经网络(图6A)。定量分析神经干细胞轴突长度,60 μg外泌体组神经干细胞轴突长度长于空白对照组及30 μg外泌体组(P均< 0.001),对于神经干细胞,外泌体同样可以促进其轴突延长,同时随着外泌体量的增加,其促进轴突延长效果越明显(图6B)。
图6 外泌体促进神经干细胞轴突生长情况

A:免疫荧光分析外泌体对神经干细胞轴突延长的影响;B:外泌体促进神经干细胞轴突再生的定量分析;*P < 0.05;***P < 0.001

讨论

脊髓损伤是脊柱创伤的最严重并发症,不仅对患者造成身心伤害,而且给家庭和社会带来沉重负担。脊髓损伤后,受伤区域发生一系列动态和复杂的病理生理变化,引起微循环紊乱,包括局部缺血、出血,血脊屏障受破坏,以及发生水肿和微血流动力学异常。所有这些因素均可能通过阻止功能性神经突触的重建而影响功能恢复[6]。同时作为中枢系统,脊髓固有的轴突再生能力较差,而且中枢神经系统的抑制因子是轴突生长和功能恢复的障碍。目前已经有大量的研究表明,将骨髓间充质干细胞注射到受伤部位可有效控制脊髓损伤并促进受伤神经的轴突生长[7]。轴突生长是神经细胞高度调节的过程,在脊髓损伤修复中起重要作用。调节轴突的生长并使轴突穿过受伤区域延伸到损伤区远端可重新建立上下神经元的信号传导功能,从而恢复神经系统对远端器官的支配功能[8]
随着对干细胞治疗作用的深入研究,细胞替代治疗已越来越受重视[9]。为了进一步深入了解骨髓间充质干细胞促进神经损伤修复的作用,我们集中研究骨髓间充质干细胞的旁分泌作用以探讨其分子机制。外泌体是具有特定大小、脂质双层结构和密度的细胞外囊泡,能参与许多重要的细胞功能,包括调控免疫反应,促进组织再生等[10,11]。外泌体最为重要的功能是可调节细胞内信号转导,影响靶细胞增殖、分化、代谢和凋亡[1,2]。除此以外,外泌体治疗还解决了直接采用干细胞移植带来的伦理问题以及免疫排斥反应等问题。在本研究中,我们分离出骨髓间充质干细胞外泌体,并使用粒径分析、检测特定的外泌体表面标记以及透射电镜图像证实提取物为外泌体。
前期研究表明外泌体能抑制脊髓损伤区域的细胞凋亡及炎症反应,促进损伤后的功能恢复,主要通过抑制细胞炎症因子TNF-α及IL-1β的表达,及升高抗炎蛋白IL-10和抗凋亡蛋白Bcl-2的表达水平[3]。于大鼠尾静脉注射骨髓间充质干细胞外泌体后,其神经损伤区域可见明显的血管网络形成,提示外泌体有助于神经血管重塑和功能的恢复[12,13]。我们将外泌体与神经元细胞系PC12细胞及原代提取的神经干细胞共培养,来验证我们提出的外泌体可以促进神经轴突再生的设想。通过外泌体吞噬实验可以看出PC12细胞系可以有效吞噬外泌体,并且可以明显促进PC12细胞轴突蛋白表达及轴突延长,而且其促进轴突延长的作用随着外泌体量的增加而增强。同时,外泌体同样可以作用于原代提取神经干细胞,促进其神经轴突的生长,在外泌体组中,无论是轴突的长度及轴突的密度都明显优于空白对照组,且这一促进现象同样随着外泌体量的增加而更为明显。
综上所述,骨髓间充质干细胞在脊髓损伤中的治疗效果可能是其旁分泌的外泌体的作用。外泌体通过胞吞作用进入损伤区域靶细胞从而促进神经轴突再生。推测轴突再生可能是外泌体促进脊髓损伤修复的重要机制之一。本研究进一步丰富了外泌体治疗脊髓损伤的机制研究,为后期外泌体临床应用进一步提供理论基础。
[1]
张勇, 马迅, 孙麟, 张丽, 关晓明, 吕聪, 陈旭. 人脐带间充质干细胞来源外泌体减轻大鼠脊髓星形胶质细胞氧糖剥夺/复氧损伤所致的水肿. 中国组织工程研究, 2019,23(25):4011-4017.

[2]
Li L, Zhang Y, Mu J, Chen J, Zhang C, Cao H, Gao J. Transplantation of human mesenchymal stem-cell-derived exosomes immobilized in an adhesive hydrogel for effective treatment of spinal cord injury. Nano Lett, 2020,20(6):4298-4305.

DOI PMID

[3]
叶涌, 陈晓庆, 浩洁, 钱柏宇, 杨凯, 徐天立, 吴桐, 张烽. 间充质干细胞外泌体治疗脊髓损伤研究进展. 交通医学, 2019,33(5):425-428, 432.

[4]
王琳, 裴双, 郭斌, 路雁惠, 李燕飞, 段冉冉, 姚要兵, 陈雪梅, 贾延劼. 骨髓间充质干细胞来源的外泌体用于大鼠脊髓损伤修复的初步探索. 中国病理生理杂志, 2018,34(5):862-869.

[5]
Yang B, Zhang F, Cheng F, Ying L, Wang C, Shi K, Wang J, Xia K, Gong Z, Huang X, Yu C, Li F, Liang C, Chen Q. Strategies and prospects of effective neural circuits reconstruction after spinal cord injury. Cell Death Dis, 2020,11(6):439.

DOI PMID

[6]
吕谨南, 谭伟, 杨磊落, 史学形, 李青. 干细胞移植治疗脊髓损伤的研究进展. 当代医药论丛, 2018,16(9):45-47.

[7]
管雅琳. 骨髓间充质干细胞移植治疗大鼠脊髓损伤的实验研究. 天津:天津医科大学, 2010.

[8]
Hervera A, De Virgiliis F, Palmisano I, Zhou L, Tantardini E, Kong G, Hutson T, Danzi MC, Perry RB, Santos CXC, Kapustin AN, Fleck RA, Del Río JA, Carroll T, Lemmon V, Bixby JL, Shah AM, Fainzilber M, Di Giovanni S. Reactive oxygen species regulate axonal regeneration through the release of exosomal NADPH oxidase 2 complexes into injured axons. Nat Cell Biol, 2018,20(3):307-319.

DOI PMID

[9]
史旭, 刘京松, 万然, 王岩松. 间充质干细胞对脊髓损伤治疗的研究进展. 中国组织工程研究, 2020,24(25):4081-4087.

[10]
边素艳, 刘宏斌. 细胞外囊泡的分离及鉴定方法. 新医学, 2019,50(9):658-662.

[11]
於晓东, 龙江. 12外泌体对体外血脑屏障模型功能的影响. 昆明医科大学学报, 2019,40(9):68-71.

[12]
古霞, 姚洋, 黄波, 唐海洋, 廖文, 宫苹. 血浆外泌体上调bFGF促体外微血管网形成的研究. 临床口腔医学杂志, 2017,33(12):723-726.

[13]
黄宁, 胡长平. 外泌体与心血管疾病研究进展. 中南医学科学杂志, 2018,46(3):236-240, 251.

Outlines

/